Vysazování štik do Orlíka pokračuje, doplněn i kapr
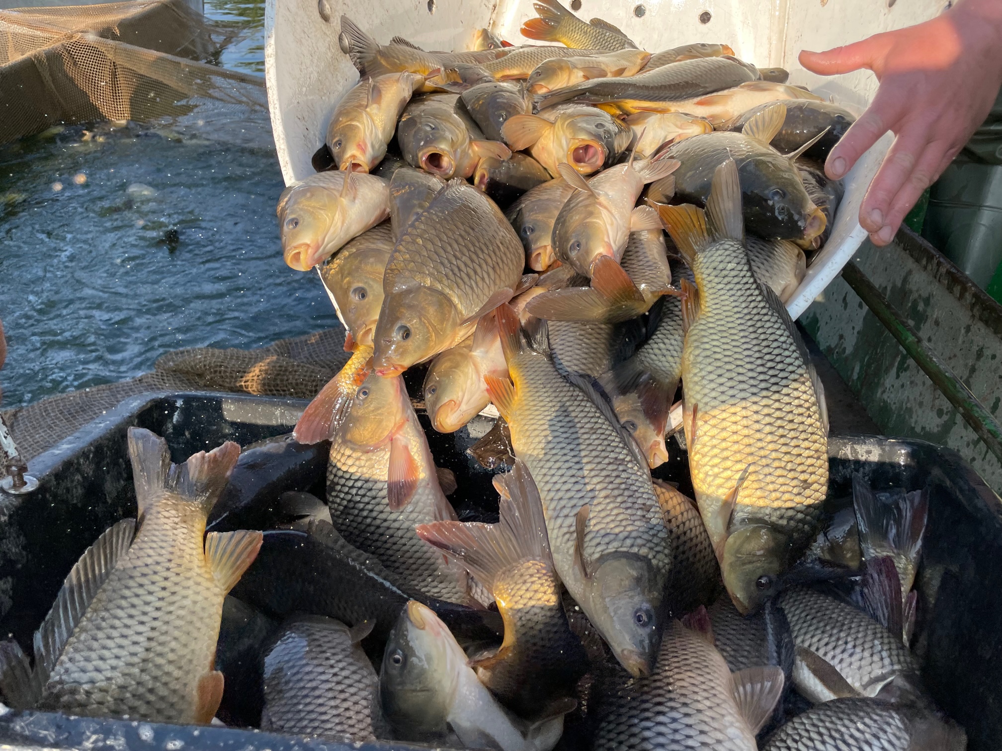
Orlická přehrada je svojí rozlohou 2 300 ha největším revírem Rady ČRS. I proto je množství ryb, které se do přehrady vysazuje, poměrně značné. Včera byly vysazovány štiky, jako vždy byly rozvezeny lodí po přehradě a vypouštěny po jednom kuse. Doplněno bylo také společenstvo kapra o další šupináče. Petrův zdar!
















